症例写真(No.315992)
当院の症例写真は、画像処理により形や大きさをかえるような処理は一切おこなっておりません。
中野達生 医師
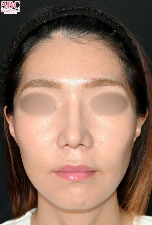
No.315992【鼻整形】【ナチュラル&変化の両立。バレない垢抜け鼻整形】SBCナチュラルフィットプロテーゼ+鼻尖形成3D法+鼻尖部軟骨移植+鼻中隔延長術(鼻中隔軟骨)+MD式 30代女性 術後1か月 栄院院長中野施術【2018年下半期、2019年〜2022年、 [4年半連続] 鼻整形症例数 全国NO.1!(SBC内)】
すべての画像を見る
施術した院
部位
施術
施術回数
数量
性別








施術担当者からのコメント
★★2018年下半期、2019年、2020年、2021年、2022年[4年半連続] 鼻整形の症例数全国No.1!!(SBC内)★★
★確かな実績に裏付けされた技術力・デザイン力がございます★
★全国からも指名多数!お鼻の整形をするなら是非★
★【ナチュラル美鼻クリエイター】名古屋栄院 院長の中野をご指名ください★
是非一度カウンセリングにおこしください!
https://www.s-b-c.net/k_campaign/campaign072-0341.html
↑こちらよりご応募いただけます。モニターご希望でなくても大丈夫です!
■施術内容詳細■---------------------------------------------------■
SBCナチュラルフィットプロテーゼ+鼻尖形成3D法+鼻尖部軟骨移植+鼻中隔延長術(鼻中隔軟骨)+MD式
術後1か月目のご様子です。
今回のモニター様のご要望は
・鼻先を丸くして自然な鼻にしたい
・鼻筋をシュッとしたい
お客さまのお鼻にあったナチュラルフィットプロテーゼを入れ、
鼻筋に高さを出して、鼻先には軟骨移植、鼻中隔延長を行いました。
高さが出ることで、鼻翼縮小はしていないにもかかわらず、小鼻もスッキリしました。
正面からみても横から見ても、お顔にあったシュッとした綺麗なお鼻に仕上がりました。
■-------------------------■----------------------------■
お鼻の形は多種多様です。
高さ、幅、大きさなどなど、一つの施術で改善することもあれば、
逆にバランスが悪く不自然な形状になるということもございます。
このような理由から、鼻の手術は、他の手術と比べ難しいとも言われております。
私は、現在までに多くの患者様のお悩みに答えてまいりました。
症例数に見合うだけの実力・デザイン力がございます。
貴方にあったお鼻をアドバイスさせていただきます。
あなたのお悩みを解決するお手伝いができる日を、心よりお待ちしております。