美容外科・美容皮膚科・審美歯科なら湘南美容クリニック
電話予約・電話問い合わせ 10:00~22:45対応 番号を通知してお電話ください 0120-489-100
Instagram
LINE
YouTube
公式アプリ
美容皮膚科
あなたに最適な美容メンテナンスをサポートします!
二重整形
これを見たらあなたも思わず二重にしたくなる♡
医療ダイエット
医療ダイエットをしたらマイナス何センチ?リアルな結果を発信中!
若返り
年齢別・お悩み別で「今やるべき美容医療」がわかる美容医療メディア
クマ取り
クマ取り失敗したくない方必見!成功の秘訣満載★
脂肪吸引
美は武器!夜職女性のための美の総合メディア
予約・お問い合わせ
美容外科 MENU
Language
メインメニュー
診療内容一覧
料金一覧
クリニック案内
ドクター一覧
モニター募集
症例写真
よくある質問
当院が選ばれる理由
当院の症例写真は、画像処理により形や大きさをかえるような処理は一切おこなっておりません。
森川総一郎 医師
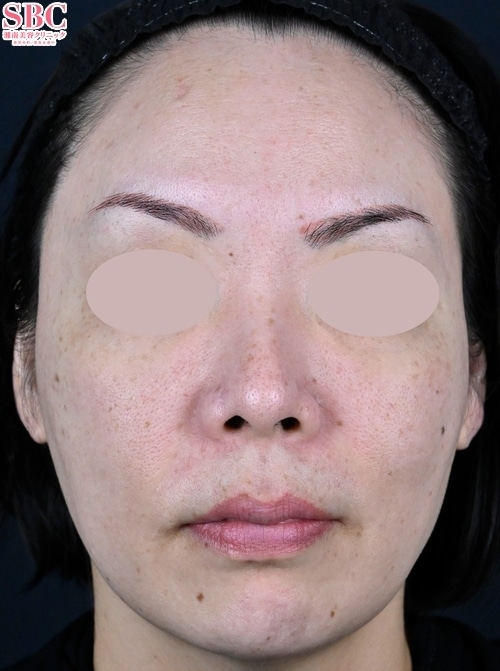
施術前
施術後1ヶ月後
施術した院
部位
施術
施術回数
数量
性別
【施術名】シルファームX(4回)【お悩み】肌質改善【解説】肝斑の治療にはまず内服とスキンケアが最も重要です。その上でシルファームXやピコトーニングを行なっていただくと肝斑はさらに改善が期待できます。特に肌質改善もよりしっかりと行いたい方やトーニングで改善が見られない方はシルファームXへの切り替えをおすすめします。【施術の説明】シルファームXは肝斑治療を行いながら肌質改善も可能な画期的なデバイス治療です。トーニングや内服を行っていても中々改善できないような場合や赤みを伴う場合に有効です。また、赤ら顔にお悩みの方や、ニキビ跡のクレーター治療としても有効です。今回は肝斑ではなく赤ら顔に対して用いました。【Dr森川のインスタグラム】@sbc_morikawa 症例写真や施術動画・解説などをUPしております。是非フォローお願いします。
施術担当者からのコメント
【施術名】シルファームX(4回)
【お悩み】肌質改善
【解説】肝斑の治療にはまず内服とスキンケアが最も重要です。その上でシルファームXやピコトーニングを行なっていただくと肝斑はさらに改善が期待できます。特に肌質改善もよりしっかりと行いたい方やトーニングで改善が見られない方はシルファームXへの切り替えをおすすめします。
【施術の説明】シルファームXは肝斑治療を行いながら肌質改善も可能な画期的なデバイス治療です。トーニングや内服を行っていても中々改善できないような場合や赤みを伴う場合に有効です。また、赤ら顔にお悩みの方や、ニキビ跡のクレーター治療としても有効です。今回は肝斑ではなく赤ら顔に対して用いました。
【Dr森川のインスタグラム】@sbc_morikawa 症例写真や施術動画・解説などをUPしております。是非フォローお願いします。