症例写真(No.344520)

当院の症例写真は、画像処理により形や大きさをかえるような処理は一切おこなっておりません。

本間重行 医師

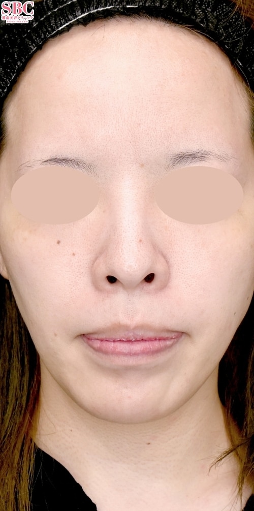
No.344520【鼻整形】「鼻整形でのっぺり顔のお悩み改善」(鼻尖形成3D法+鼻尖部耳介軟骨移植+鼻中隔延長(鼻中隔軟骨)+鼻孔縁下降術)

施術前

鼻全体が低く、日本人特有の平坦な顔立ち
→

施術後3ヶ月後

鼻が全体的に高くなり、横から見た時の表情が立体的に
すべての画像を見る

施術した院

部位

施術

施術回数

数量

性別

関連症例写真

術前
3ヶ月後/正面(どの角度から見てもキレイ)
術前
3ヶ月後/正面(どの角度から見てもキレイ)
術前
3ヶ月後/正面(どの角度から見てもキレイ)
術前
3ヶ月後/正面(どの角度から見てもキレイ)
術前
3ヶ月後/正面(どの角度から見てもキレイ)

施術担当者からのコメント

■施術内容---------------------------------------------

【鼻整形】
・鼻尖形成3D法
・鼻尖部耳介軟骨移植
・鼻中隔延長(鼻中隔軟骨)
・鼻孔縁下降術

【Eライン】
・アゴプロテーゼ

■こだわり---------------------------------------------

鼻整形は、バランスが大事です。
鼻の形を整えてあげるのはもちろん、
顔全体とのバランスも大事になってきます。
カウンセリングでシミュレーションを用いながら必要な施術を丁寧にお話しさせていただきます。

■お知らせ---------------------------------------------

ベクトラ3Dシミュレーションの導入院です。
術前の自分の姿を撮影し、
鼻整形後の姿をシミュレーションしながら
カウンセリングを受けることが可能です。
ぜひ、一度カウンセリングにお越しください!

■SNS--------------------------------------------------

instaの方ではより詳しく&沢山の症例写真を載せています!
是非チェックしてみて下さい♪
@sbc_honma.shigeyuki



×

当院におけるワクチン接種後の治療間隔(ガイドライン)

美容皮膚科、美容外科小手術

前後3日(手術日は含まず)、自覚する副反応がなければ可
安心麻酔を使用するものは接種後1週間は空ける

美容外科中、大手術

前後1週間
副反応が残っている場合は延期
接種部位と手術部位が同じ場合は2週間は空ける

×

お急ぎの方はお電話ください

0120-489-100

受付時間 / 10:00~23:00