美容外科・美容皮膚科・審美歯科なら湘南美容クリニック
電話予約・電話問い合わせ 10:00~22:45対応 番号を通知してお電話ください 0120-489-100
Instagram
LINE
YouTube
公式アプリ
美容皮膚科
あなたに最適な美容メンテナンスをサポートします!
二重整形
これを見たらあなたも思わず二重にしたくなる♡
医療ダイエット
医療ダイエットをしたらマイナス何センチ?リアルな結果を発信中!
若返り
年齢別・お悩み別で「今やるべき美容医療」がわかる美容医療メディア
クマ取り
クマ取り失敗したくない方必見!成功の秘訣満載★
脂肪吸引
美は武器!夜職女性のための美の総合メディア
予約・お問い合わせ
美容外科 MENU
Language
メインメニュー
診療内容一覧
料金一覧
クリニック案内
ドクター一覧
モニター募集
症例写真
よくある質問
当院が選ばれる理由
当院の症例写真は、画像処理により形や大きさをかえるような処理は一切おこなっておりません。
近藤杏奈 医師
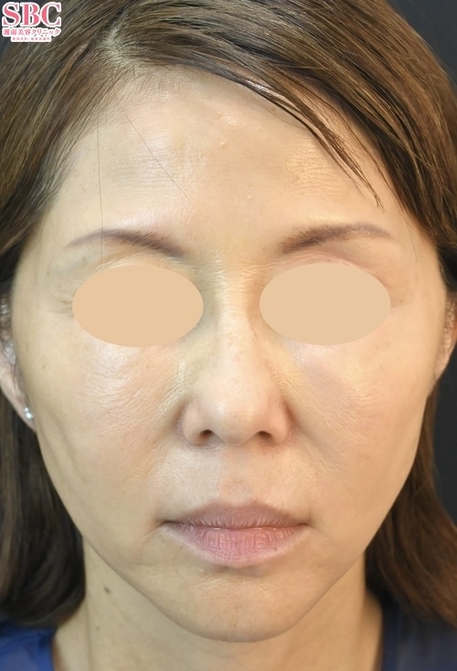
施術前
施術後1週間後
施術後1ヶ月後
施術した院
部位
施術
施術回数
数量
性別
こんにちは。美容皮膚科医の近藤 杏奈(こんどう あんな)です。フォトギャラリーをご覧くださり、ありがとうございます。【施術名】プロファイロ【患者様情報】60代女性 術前/2回施術後1週間・1か月【お悩み】頬の小じわ、マリオネットライン【解説・Drから一言】・プロファイロ:ご自身の細胞を活性化し、皮ふや脂肪組織をボリュームアップして お肌にハリツヤをもたらしてくれます。ヒアルロン酸の一種ですが注入した箇所にとどまらず拡散する特性があるため、不自然に一部だけふくらむことはなく お顔全体のナチュラルな若返りが可能です。コラーゲン・エラスチン増加、脂肪細胞の若返り効果により…→毛穴や小じわ改善、肌のハリ感の改善や頬コケにもおすすめです。 リフトアップ効果もあり、たるみの改善・予防にも。施術の痛みやダウンタイムなども含めて、詳しくはカウンセリングにてお伝えさせて頂きます。ーーーーーーーーーーーーーーーーーーーーーーーーー皆さま一人一人のお悩みに寄り添ったカウンセリング・施術を心がけております。気になることがあれば、ぜひお気軽にご相談くださいね。クリニックにてお待ちしております。【 Instagram 】 @sbc_anna.kondo 美容に関する知識や症例写真など(たまにプライベートも)UPしています ぜひフォローしてくださると嬉しいです^^ーーーーーーーーーーーーーーーーーーーーーーーーー【湘南美容クリニック 岐阜院】 岐阜市神田町9丁目27 大岐阜ビル 3階(JR岐阜駅から徒歩3分!) お問い合わせ:0120-541-470 営業時間: 9:00-18:00 Instagram:@sbc_gifu 今、使えるクーポンやモニター等の情報も日々更新されています お得に施術が受けられるタイミングを逃したくない方へ
施術担当者からのコメント
こんにちは。美容皮膚科医の近藤 杏奈(こんどう あんな)です。
フォトギャラリーをご覧くださり、ありがとうございます。
【施術名】プロファイロ
【患者様情報】60代女性 術前/2回施術後1週間・1か月
【お悩み】頬の小じわ、マリオネットライン
【解説・Drから一言】
・プロファイロ:
ご自身の細胞を活性化し、皮ふや脂肪組織をボリュームアップして お肌にハリツヤをもたらしてくれます。
ヒアルロン酸の一種ですが注入した箇所にとどまらず拡散する特性があるため、
不自然に一部だけふくらむことはなく お顔全体のナチュラルな若返りが可能です。
コラーゲン・エラスチン増加、脂肪細胞の若返り効果により…
→毛穴や小じわ改善、肌のハリ感の改善や頬コケにもおすすめです。
リフトアップ効果もあり、たるみの改善・予防にも。
施術の痛みやダウンタイムなども含めて、詳しくはカウンセリングにてお伝えさせて頂きます。
ーーーーーーーーーーーーーーーーーーーーーーーーー
皆さま一人一人のお悩みに寄り添ったカウンセリング・施術を心がけております。気になることがあれば、ぜひお気軽にご相談くださいね。
クリニックにてお待ちしております。
【 Instagram 】 @sbc_anna.kondo
美容に関する知識や症例写真など(たまにプライベートも)UPしています
ぜひフォローしてくださると嬉しいです^^
ーーーーーーーーーーーーーーーーーーーーーーーーー
【湘南美容クリニック 岐阜院】
岐阜市神田町9丁目27 大岐阜ビル 3階(JR岐阜駅から徒歩3分!)
お問い合わせ:0120-541-470
営業時間: 9:00-18:00
Instagram:@sbc_gifu
今、使えるクーポンやモニター等の情報も日々更新されています
お得に施術が受けられるタイミングを逃したくない方へ