美容外科・美容皮膚科・審美歯科なら湘南美容クリニック
電話予約・電話問い合わせ 10:00~22:45対応 番号を通知してお電話ください 0120-489-100
Instagram
LINE
YouTube
公式アプリ
美容皮膚科
あなたに最適な美容メンテナンスをサポートします!
二重整形
これを見たらあなたも思わず二重にしたくなる♡
医療ダイエット
医療ダイエットをしたらマイナス何センチ?リアルな結果を発信中!
若返り
年齢別・お悩み別で「今やるべき美容医療」がわかる美容医療メディア
クマ取り
クマ取り失敗したくない方必見!成功の秘訣満載★
脂肪吸引
美は武器!夜職女性のための美の総合メディア
予約・お問い合わせ
美容外科 MENU
Language
メインメニュー
診療内容一覧
料金一覧
クリニック案内
ドクター一覧
モニター募集
症例写真
よくある質問
当院が選ばれる理由
当院の症例写真は、画像処理により形や大きさをかえるような処理は一切おこなっておりません。
石井佳央理 医師
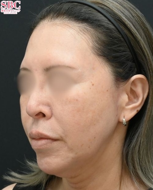
施術前
施術後1週間後
施術した院
部位
施術
施術回数
数量
性別
--------------施術内容--------------・シークレットリフト12本・VOVリフト4本--------------コメント--------------こちらのお客様は、ほほのたるみ、口元やあご下のもたつき、ほうれい線など、年齢を重ねていく中で気になってくるお顔のお悩みを解消したいとのことで、相談にいらっしゃいました。糸リフトは、下がってしまった脂肪を直接持ち上げて美しい位置に再配置し、もたつきを解消することができる施術です。その中でもシークレットリフトは柔軟性と持続力を備えており、ほほのたるみや口元のもたつきにお勧めな糸リフトです。また、VOVリフトはしなやか且つ強度が強い糸で、あご下のたるみやほうれい線のお悩みにお勧めな糸リフトです。こちらのお客様は、2種類の糸リフトを組み合わせることで、口元や輪郭、ほうれい線のお悩みを一度に解消でき、年齢を感じさせない自然な若返りをすることができました。---------------実績---------------☆シークレットリフト症例数SBC内 関東女医No.1※2024年~2025年上半期 ※東京都除く☆SBC公認糸リフト関東おすすめドクター☆アイバックリムーブ法症例数SBC内 関東No.2※2025年上半期 ※東京都除く----------私が選ばれる理由----------・なんでも相談しやすい雰囲気のカウンセリング・不要な施術は提案しない誠実さ・安心の口コミ評価 ★4.7・女医による丁寧かつ繊細な施術・美容外科医歴6年/症例数1,200件以上の豊富な実績どんなお悩みにも親身に対応いたします。ぜひお気軽にご相談にいらしてください♪-----------------SNS-----------------Instagramでも症例をアップしています!ぜひチェック&フォローしてみてください♪小顔/若返りアカウント @sbc_ishii目元アカウント @sbc_ishii_eye----------------------------------------★ご予約はこちらから★https://lit.link/kaoriyoyaku上記URLからお得なモニター情報もこ確認いただけます!
施術担当者からのコメント
--------------施術内容--------------
・シークレットリフト12本
・VOVリフト4本
--------------コメント--------------
こちらのお客様は、ほほのたるみ、口元やあご下のもたつき、ほうれい線など、
年齢を重ねていく中で気になってくるお顔のお悩みを解消したいとのことで、相談にいらっしゃいました。
糸リフトは、下がってしまった脂肪を直接持ち上げて美しい位置に再配置し、もたつきを解消することができる施術です。
その中でもシークレットリフトは柔軟性と持続力を備えており、ほほのたるみや口元のもたつきにお勧めな糸リフトです。
また、VOVリフトはしなやか且つ強度が強い糸で、あご下のたるみやほうれい線のお悩みにお勧めな糸リフトです。
こちらのお客様は、2種類の糸リフトを組み合わせることで、口元や輪郭、ほうれい線のお悩みを一度に解消でき、
年齢を感じさせない自然な若返りをすることができました。
---------------実績---------------
☆シークレットリフト症例数SBC内 関東女医No.1
※2024年~2025年上半期 ※東京都除く
☆SBC公認糸リフト関東おすすめドクター
☆アイバックリムーブ法症例数SBC内 関東No.2
※2025年上半期 ※東京都除く
----------私が選ばれる理由----------
・なんでも相談しやすい雰囲気のカウンセリング
・不要な施術は提案しない誠実さ
・安心の口コミ評価 ★4.7
・女医による丁寧かつ繊細な施術
・美容外科医歴6年/症例数1,200件以上の豊富な実績
どんなお悩みにも親身に対応いたします。
ぜひお気軽にご相談にいらしてください♪
-----------------SNS-----------------
Instagramでも症例をアップしています!
ぜひチェック&フォローしてみてください♪
小顔/若返りアカウント @sbc_ishii
目元アカウント @sbc_ishii_eye
----------------------------------------
★ご予約はこちらから★
https://lit.link/kaoriyoyaku
上記URLからお得なモニター情報もこ確認いただけます!