神奈川県横須賀市大滝町2-15-1 横須賀東相ビル4階
・京急本線「横須賀中央駅」徒歩4分
0120-955-899
受付時間:AM10:00~PM11:00(土・日・祝日も対応)


脂肪注入は、ご自身の脂肪を利用して気になる部分に自然なボリュームを取り戻せる施術です。
切らずに若返りが叶うため、初めての方にも安心して受けていただけます。
美容医療は、見た目の変化だけでなく、気持ちや毎日をポジティブに変えてくれる力があります。
「やってよかった」と心から思える経験を、一緒に叶えましょう。
↓横須賀中央院 出勤日はこちら↓
10/25(土) 10/28(火) 11/9(日) 11/14(金) 11/18(火) 11/20(木) 11/24(月祝) 12/5(金)



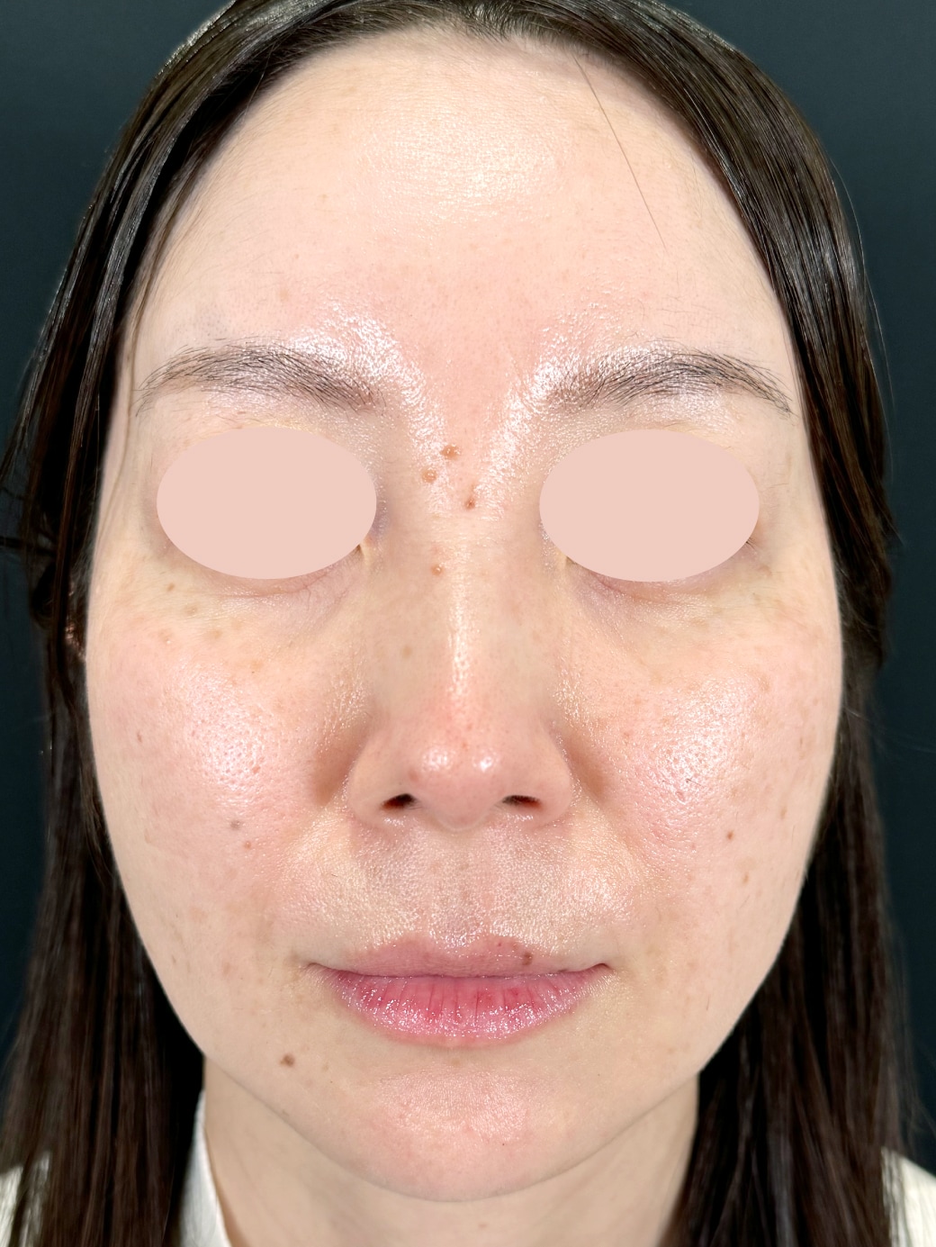
ナチュラル脂肪注射(お顔の脂肪注入)とは、ご自身の脂肪を太ももやお腹から注射器で採取(10分程度)し、麻酔や水分と分離して注入する若返り方法です。
分離した脂肪を、気になるシワや溝、くぼみ部分に注入することで、肌にハリやくぼみにボリュームを持たせたり、深いシワを改善することができます。
切開することに抵抗があり、傷跡が残ることが心配な方や、永続的な効果を求める方にお勧めです。


| 施術名 | モニター価格(税込) |
|---|---|
| ナチュラル脂肪注射(法令線) | 57,750円 |
| ナチュラル脂肪注射(ゴルゴ線) | 57,750円 |
| ナチュラル脂肪注射(目の下) | 57,750円 |
| ナチュラル脂肪注射(目の下~ゴルゴ) | 86,620円 |
| ナチュラル脂肪注射(頬) | 86,620円 |
| ナチュラル脂肪注射(口角) | 43,300円 |

クリニック案内
モニター情報 No.093-0331
神奈川県横須賀市大滝町2-15-1 横須賀東相ビル4階
・京急本線「横須賀中央駅」徒歩4分
0120-955-899
受付時間:AM10:00~PM11:00(土・日・祝日も対応)
必ずご確認ください
※お問い合わせの際にはモニター番号が必要になりますので、
モニター番号をお控えの上、お問い合わせください。
違う条件でモニターを探す
